Two Development Sites | Parker’s Kitchen Residual
9581 Highway 78
Ladson, SC 29456
Highlights
Description
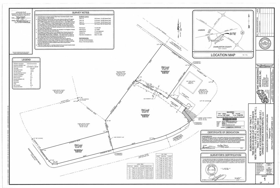
The Finem Group at Meybohm Commercial is pleased to exclusively present 9581 Hwy 78 in Ladson, South Carolina. This 3.13-acre site is divided into two distinct parcels: a ±0.85-acre front pad ideal for retail, and a ±2.28-acre rear pad suited for industrial oriented development.
Pad 1 features direct frontage on Hwy 78 with daily traffic counts exceeding 47,000 vehicles. The site offers full-motion shared access through Parker’s Kitchen, creating strong visibility and immediate traffic synergy. Its layout and location make it well-positioned for national QSR brands, drive-thru coffee operators, oil change centers, and other small-format retail users.
Pad 2 sits behind the retail parcel and offers scale and configuration ideal for warehouse, flex, or service uses. Its depth, second-row positioning, and access from Commercial Drive make it a logical fit for users seeking industrial proximity within a growing suburban corridor.
The Finem Group at Meybohm Commercial is pleased to exclusively present 9581 Hwy 78 in Ladson, South Carolina. This 3.13-acre site is divided into two distinct parcels: a ±0.85-acre front pad ideal for retail, and a ±2.28-acre rear pad suited for industrial oriented development.
Pad 1 features direct frontage on Hwy 78 with daily traffic counts exceeding 47,000 vehicles. The site offers full-motion shared access through Parker’s Kitchen, creating strong visibility and immediate traffic synergy. Its layout and location make it well-positioned for national QSR brands, drive-thru coffee operators, oil change centers, and other small-format retail users.
Pad 2 sits behind the retail parcel and offers scale and configuration ideal for warehouse, flex, or service uses. Its depth, second-row positioning, and access from Commercial Drive make it a logical fit for users seeking industrial proximity within a growing suburban corridor.
Located within five minutes of two I-26 interchanges, the property also benefits from proximity to Charleston Southern University and Trident Medical Center. The surrounding Ladson submarket continues to experience strong residential and commercial growth, with limited supply of comparable pad-ready opportunities. This site combines visibility, accessibility, and versatility in one of the Charleston MSA’s most active development corridors.

