Palm Bay One

2280 Wilhelmina Court Palm Bay, FL 32905

2280 Wilhelmina Court, Palm Bay, FL, 32905
2280 Wilhelmina Court, Palm Bay, FL, 32905 2280 Wilhelmina Court, Palm Bay, FL, 32905 2280 Wilhelmina Court, Palm Bay, FL, 32905
FOR LEASE
Property Type:
Warehouse
Amount:
Please Call Broker for Price

Last Verified:
Oct 27, 2025

Daily Email Blast
0 times



Description

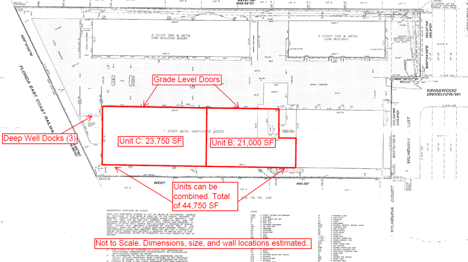
2280 Unit B = est. 21,000 SF Warehouse
2280 Unit C = est. 23,750 SF Warehouse.
Units can be leased individually or combined for up to 44,750 SF.
Both Units 100% Wet Fire Sprinklered. Concrete Floor.
Ceiling Height Ranges 23’ – 27’ +/- (Measured Floor to Steel Beam).
Mix of Grade Level Doors and Deep Well Docks.
City of Palm Bay Water/Sewer, 3-Phase FPL Electric, Natural Gas.
Zoning: Warehousing, Light Manufacturing, Storage Yards & More!
Est. $2.00 PSF OPEX

Strategically positioned just off of US1 approximately halfway between Palm Bay Road and US 192. Nearby employers include Raytheon, L3Harris, Leonardo DRS and Northrop Grumman to name a few. The Melbourne International Airport is approximately 5-miles away. Both Palm Bay Road & US 192 are direct connectors to Interstate 95. Make this the future home for your business today!

Building Size: 109035sq ft
Lot Size: 5.78 acres


Documents

Lease Brochure

Units for Lease

2280 Unit B
Space Available: 21000 SF
Lease Type: NNN

Price Per Sqft/Year: $9.95
2280 Unit C
Space Available: 23750 SF
Lease Type: NNN

Price Per Sqft/Year: $9.95

Map of 2280 Wilhelmina Court, Palm Bay, FL, 32905

Presented by:

Request additional information


Send a message
Share this Listing

Not Interested In This Property? TheBrokerList.com Can Help
Looking for an office, retail space, warehouse or anything else?
Contact a Licensed Member Today

What are Real Estate Incentives?

Real Estate incentives range widely and have been overlooked by the Commercial Multiple Listing Services (MLS) for decades. Real estate incentives is a generic term used to group any number of programs, such as tax incentives, that are designated by an agency for a geographic area."

Why are Real Estate Incentives Important and to Whom?

"Incentives" are vital today and in the future because:

  • U.S. Public: Many incentives focus on job creation and Affordable Housing
  • Investors and Commercial Developers use incentives to reduce financial risk, obtain gap financing, etc. Investors and developers look for property listings with incentives available.
  • Commercial Real Estate Brokers, in mass, unfortunately do not know about incentives tied to their listings
  • Entire Supply Chain of Real Estate Development such as small and large companies who will provide goods and services to new and revitalized properties.