Morning Glory Rd , Adelanto , CA, 92301

Morning Glory Rd Adelanto , CA 92301

Morning Glory Rd , Adelanto , CA, 92301
Morning Glory Rd , Adelanto , CA, 92301 Morning Glory Rd , Adelanto , CA, 92301
FOR SALE
Property Type:
Residential Land Development
Amount:
$40,000
Last Verified:
Nov 24, 2025

Daily Email Blast
0 times


Highlights

  • ASKING: $40,000
  • SIZE: ± 10 Acres
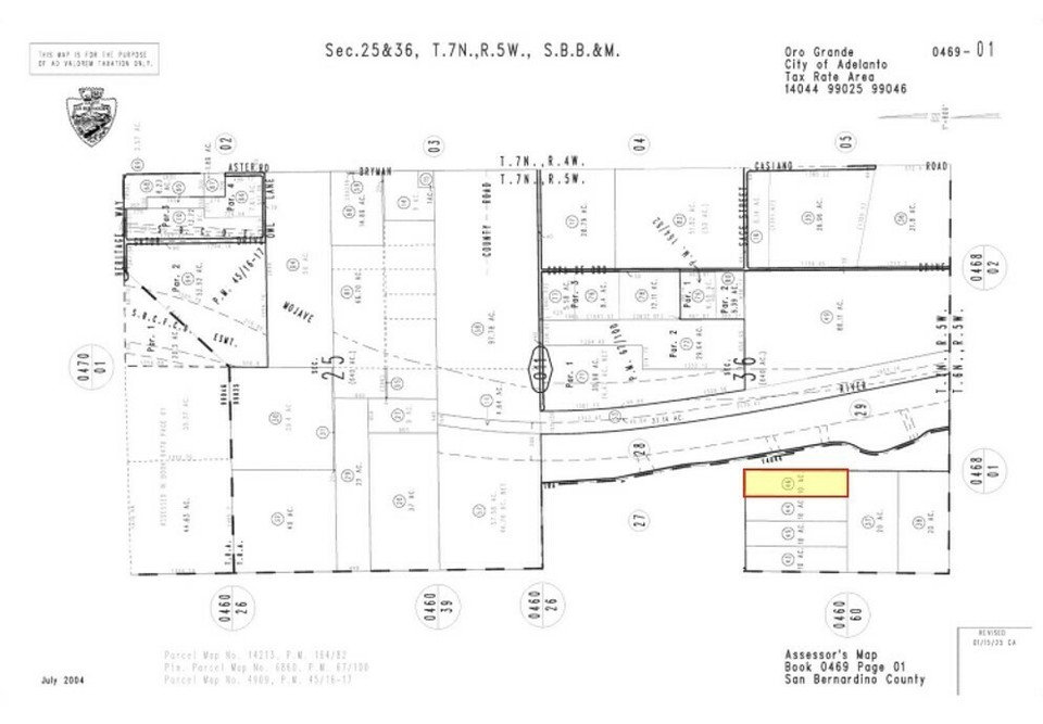
  • APN: 0469-011-45
  • ZONING: Desert Living (DL-9)

Description

Situated in the path of growth
Prominent neighbors in the Fortune 100
Flexible zoning allowing for a variety of opportunity
Quick access to local highways

±10 acres of unimproved residential land for sale on Morning Glory Rd in Adelanto; APN: 0469-011-45. Zoned Desert Living (DL-9) this lot will allow for a variety of secondary uses in conjunction with a primary residential use, including equestrian facilities, agricultural uses, and the raising of small animals, commercial kennels, stables, and others varied commercial activities subject to a conditional use permit. This site is immediately north of the Southern California Logistics Airport, which is home to such companies as Amazon, Boeing, General Electric, Goodyear Tire, Dr. Pepper/Keurig, Newell Rubbermaid, M&M/Mars, and more. Millions of square feet of industrial product are entitled in this area of Adelanto, bringing a massive amount of infrastructure to the surrounding parcels. This site is also approximately 25 miles from BNSF’s future Barstow International Gateway (BIG), a state-of-the-art intermodal facility spanning 4,500-acres designed to revolutionize international logistics and distribution regionally and domestically. Buyer to verify all information contained herein. Agent and their representatives are not responsible for the accuracy of these claims.

Lot Size: 10.0 acres


Documents

• NAI - Flyer (P) - copy 1

Map of Morning Glory Rd , Adelanto , CA, 92301

Presented by:

Request additional information


Send a message
Share this Listing

Not Interested In This Property? TheBrokerList.com Can Help
Looking for an office, retail space, warehouse or anything else?
Contact a Licensed Member Today

What are Real Estate Incentives?

Real Estate incentives range widely and have been overlooked by the Commercial Multiple Listing Services (MLS) for decades. Real estate incentives is a generic term used to group any number of programs, such as tax incentives, that are designated by an agency for a geographic area."

Why are Real Estate Incentives Important and to Whom?

"Incentives" are vital today and in the future because:

  • U.S. Public: Many incentives focus on job creation and Affordable Housing
  • Investors and Commercial Developers use incentives to reduce financial risk, obtain gap financing, etc. Investors and developers look for property listings with incentives available.
  • Commercial Real Estate Brokers, in mass, unfortunately do not know about incentives tied to their listings
  • Entire Supply Chain of Real Estate Development such as small and large companies who will provide goods and services to new and revitalized properties.